Cómo gestionar los registros de monitoreo de supervisión de casos (para analistas)
Esta guía es esencial para que los analistas gestionen eficazmente los registros de supervisión de casos conforme a los estándares CASP. Explica cómo acceder, filtrar e interpretar los logs, documentando con precisión la supervisión directa e indirecta. También enseña a verificar el cumplimiento de los requisitos de la agencia y generar reportes para una mejor supervisión, optimizando la gestión de casos y el cumplimiento normativo.
Esta funcionalidad permite a los analistas documentar y monitorear las actividades de supervisión de casos directas e indirectas, en cumplimiento con los estándares de CASP y los requisitos definidos por la agencia.
1. Acceso al registro de supervisión de casos
1. Para ver un registro de supervisión de casos:
- Vaya a Supervision Logs desde el menú principal.
- Seleccione la pestaña Case Supervision Log.
2. Al inicio de cada mes, el sistema genera automáticamente un nuevo registro de supervisión para cada cliente.

3. Para localizar el registro de supervisión de casos de un cliente específico, utilice el Panel de Filtros para ajustar o personalizar los registros mostrados. Puede:
-
Filtrar por nombre del cliente
Filtrar por estado del registro
- In progress
- Completed
- Filtrar por fecha de inicio y fin del registro de supervisión
- Elegir mostrar clientes inactivos
- Dividir los registros por analista

4. Haga clic en el registro para abrirlo y ver sus detalles.

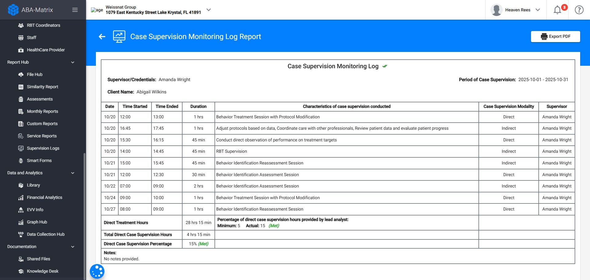
5. Dentro del Registro de Supervisión de Casos (Case Supervision Log) encontrará:
-
Eventos de Supervisión de Casos Directos:
El sistema incluye automáticamente todas las actividades calificadas de supervisión de casos directos programadas durante el mes, tales como:
- Sesiones de Tratamiento Conductual con Modificación de Protocolo
- Evaluaciones y Reevaluaciones realizadas con los clientes
- Supervisiones de RBT/BCaBA observadas con los clientes
- Eventos específicos de supervisión directa de casos creados directamente desde el calendario

6. - Eventos de Supervisión de Casos Indirectos:
Las horas de supervisión indirecta también aparecerán una vez que se programen en el calendario (por ejemplo, análisis de datos, documentación).
Obtenga más información sobre la supervisión de casos indirectos en el paso 2.2 Indirect Case Supervision Tracking

7. - Horas de Tratamiento Directo:
Se calculan automáticamente en función de todas las sesiones de tratamiento conductual registradas por protocolo durante el mes seleccionado.

8. - Total de Horas de Supervisión de Casos Directas:
Muestra el número total de horas de supervisión directa.

9. - Porcentaje de Supervisión de Casos Directa:
El sistema calcula este valor automáticamente utilizando los datos registrados.
El sistema calcula de forma automática el porcentaje de supervisión de casos directos en función de las horas de supervisión directa completadas y las horas de tratamiento directo durante el mes.
Fórmula:
Porcentaje de Supervisión de Casos Directas = (Total de Horas de Supervisión de Casos Directos ÷ Total de Horas de Tratamiento Directo) × 100
Ejemplo:
Si un cliente recibió 40 horas de tratamiento directo y 4 horas de supervisión directa de casos, DSP = (4 ÷ 40) × 100 = 10%.
El porcentaje calculado (DSP) se muestra automáticamente dentro del registro.

El requisito del 10% de supervisión incluirá únicamente las horas de supervisión de casos directas.
2. Requisitos Adicionales de la Agencia
Cada agencia puede configurar parámetros específicos de supervisión de casos para cumplir con sus requisitos internos.
Estas configuraciones son aplicadas automáticamente por el sistema, y cada registro de supervisión se evalúa en función de ellas para determinar el nivel de cumplimiento.
10. Porcentaje de Supervisión de Casos Directa
El estándar predeterminado de supervisión de casos directos está establecido en 10%, pero cada agencia puede configurar un umbral personalizado si lo considera necesario.

11. Supervisión de Casos Directos Realizada por el Analista Principal
Las agencias pueden definir un porcentaje mínimo de horas de supervisión directa que deben ser completadas por el analista principal.

2.1 Seguimiento de Supervisión de Casos Directa (eventos específicos creados desde el calendario)
De forma predeterminada, además de los eventos de Supervisión de Casos Directos generados automáticamente, los analistas también pueden programar eventos adicionales de supervisión directa.
12. El analista puede crear estos eventos adicionales de supervisión directa de casos desde el Calendario seleccionando:
-
Case Supervision como tipo de evento.
El cliente, la fecha y la hora (no se aplican restricciones de horario).
Modo de supervisión de casos:
- Direct.

13. - El evento específico de supervisión directa seleccionado desde la lista desplegable, que incluye opciones como:
- Realizar observación directa del desempeño en los objetivos del tratamiento
- Supervisar la integridad del tratamiento para garantizar que los protocolos se implementen adecuadamente
- Observar la implementación del tratamiento para posibles revisiones del programa
- Revisar el progreso con el paciente y la familia y ajustar el plan y/o las metas en función de esa revisión

14. Se requerirá que agreguen una breve nota describiendo la actividad.

15. Este evento funciona como cualquier otra entrada del calendario:
- Puede editarse (hora, fecha y nota)
- Puede cancelarse
- O eliminarse

16. Cuando el evento se firma y se envía, el sistema lo marca como completado y registra automáticamente el tiempo correspondiente en el Registro Mensual de Supervisión de Casos.
Estos eventos específicos de supervisión directa de casos sí contarán para cumplir con el porcentaje mínimo requerido en el registro.

2.2 Seguimiento de Supervisión de Casos Indirecta
De forma predeterminada, además de los eventos de supervisión directa de casos que se agregan automáticamente, los analistas podrán programar eventos adicionales de supervisión indirecta de casos.
17. El analista puede crear eventos adicionales de supervisión indirecta de casos desde el Calendario seleccionando:
-
Case Supervision como tipo de evento.
El cliente, la fecha y la hora (no se aplican restricciones de horario).
Modo de supervisión de casos:
- Indirect.

18. - El evento específico de supervisión indirecta seleccionado desde la lista desplegable, que incluye opciones como:
- Desarrollar el plan de tratamiento
- Elaborar objetivos de tratamiento, protocolos y sistemas de recolección de datos
- Seleccionar objetivos de tratamiento en colaboración con familiares y otros interesados
- Redactar protocolos para el tratamiento y la medición de todos los objetivos del tratamiento
- Desarrollar medidas de fidelidad del tratamiento
- Resumir y analizar datos
- Revisar los datos del paciente y evaluar su progreso
- Ajustar los protocolos en función de los datos
- Coordinar la atención con otros profesionales
- Dirigir y guiar la implementación de una intervención en crisis
- Reportar el progreso hacia los objetivos
- Desarrollar y supervisar un plan de transición o alta
- Revisar el progreso del paciente con el personal (sin la presencia del paciente) para refinar los protocolos de tratamiento
- Guiar al personal en la implementación de nuevos o revisados protocolos (sin la presencia del paciente)

19. Se requerirá que agreguen una breve nota describiendo la actividad.

20. Este evento funciona como cualquier otra entrada del calendario:
- Puede editarse (hora, fecha y nota)
- Puede cancelarse
- O eliminarse

21. Cuando el evento se firma y se envía, el sistema lo marca como completado y registra automáticamente el tiempo correspondiente en el Registro Mensual de Supervisión de Casos.

Los eventos de supervisión de casos indirectos no se contabilizarán dentro del porcentaje mínimo requerido para el registro.
3. Cumplimiento del Registro de Supervisión
22. Cada Registro de Supervisión de Casos (Case Supervision Log) tiene dos tipos de estados:
Según las Fechas:
- En Progreso: El registro del mes actual aún se encuentra dentro de su período activo.
- Completado: El mes ha finalizado y el registro está cerrado.
Según los Requisitos:
El sistema evalúa automáticamente si el registro cumple con los criterios de supervisión definidos por la agencia:
- Cumple (Met): Se han satisfecho todos los requisitos establecidos por la agencia (por ejemplo, el porcentaje mínimo o las horas de supervisión directa de casos).
- No Cumple (Not Met): Uno o más de los requisitos se encuentran por debajo de los umbrales definidos por la agencia.
Si un registro se marca como No Cumple (Not Met), el sistema resaltará las áreas que requieren horas adicionales de supervisión u otras acciones correctivas.

23. Para descargar un reporte del Registro de Supervisión de Casos (Case Supervision Log):
- Localice el registro de supervisión de casos deseado.
- Haga clic en el ícono de tres puntos (︙) ubicado en el lado derecho.
- Seleccione la opción Download (Descargar).

24. El archivo descargado incluye:
- Todos los eventos de supervisión directa e indirecta registrados
- Los porcentajes de supervisión directa calculados
- Los indicadores de cumplimiento de los requisitos de la agencia (Met / Not Met)
- Todas las notas y firmas digitales
